大家都在搜: 葡萄霜霉病专用药葡萄病虫害防治技术葡萄农药批发葡萄除菌剂批发代理

在线留言| 收藏本站| 网站地图| English Website| 手机站
欢迎进入陕西北农华绿色生物技术有限公司官网!时至立夏,正是我国露地葡萄开花坐果初期,但行业内多地葡萄产区却再次被阴雨笼罩。葡萄开花前后是不喜欢低温雨水的时期,很容易受温湿度等影响造成葡萄的成花授粉不良,进而直接影响坐果。
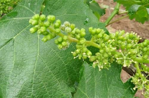
但更令果农们揪心的,却是因为低温,雨水造成的葡萄花期病虫害肆虐。尤其以葡萄的癌症——葡萄霜霉病上花序为严重。
葡萄霜霉病上花序 图|陈刚
还记得去年的霜霉毁园情景和后期“鬼捏果”的惨状吗?
2017年葡萄霜霉病严重毁园
今年情况又如何?细心的果农,已经发现葡萄霜霉病上花序了!目前四川、河南、广西、陕西部分区域已经有葡萄霜霉病发生!
四川地区葡萄霜霉病上果 图|魏少康
广西葡萄霜霉病危害叶片 图|牛民权
陕西户县葡萄霜霉病上花序 图|陈刚
陕西户县葡萄霜霉病危害叶片 图|陈刚
河南鲁山葡萄霜霉病危害叶片 图|韩国伟
葡萄霜霉病上花序、危害幼果问题,我们已经多次强调过,希望引起大家的高度重视!但还是有很多农户甚至农药经营人员不能正确把控,科学预防,终造成了巨大的损失。
两个预防前提
01、上年园地的葡萄霜霉病高发,造成园中葡萄霜霉病菌孢子数量基数大。
02、葡萄花序分离开始陆续出现阴雨等天气。
广西柳州葡萄霜霉病危害叶片 图|牛民权
只要满足上面两个前提之一,葡萄健康栽培联盟建议大家,在花序展露到开花前,结合高端保护剂的使用,必须安排2次左右的铲除性霜霉药剂,同时,受制于花期敏感影响,建议大家优选好性高的铲除药剂,如北农华安洗,高富帅,特别特等。既能快速的压低病原菌数量,又能大限度的保护授粉好。
预防方案
01、葡萄花序分离前期:安洗1500倍+云保泰1500倍
02、开花前:安洗1500倍或高富帅1500倍或特别特1500倍+卉太朗1500倍
发生后处置方案
1、剪除受侵染花序,切忌只剪除部分花序。带出园外,烧毁!
2、进行全园喷雾处理,重要针对花序进行药剂处理。安洗1000倍或高富帅1000倍 + 阿米达1500倍或云保泰1500倍。连续2-3次,注意喷透。
3、未扣避雨棚膜的及时覆膜,隔断花期雨水与植株的接触。
图文|杨军平
编辑|刘 筱
种好葡萄,找北农华!
西安北农华——做葡萄植保的定点企业!
提问题,学技术请扫描上方二维码,进入葡哥萄姐社区部落